Prevalece incertidumbre en empresas energéticas

Están esperando la entrada del nuevo gobierno para activar sus proyectos.
Recibe alta médica hincha de Tigres que fue golpeado

Rodolfo Palomo Gámez dejó el Hospital Universitario y ahora comenzará su rehabilitación; tiene disminución de movilidad del hemisferio del lado derecho, precisó titular de Salud local
instalaran urnas para consulta ciudadana del NAICM

Las urnas se colocarán en la plaza principal de Tampico, Ciudad Madero y Altamira
Nombra AMLO a José Rafael Ojeda Durán como próximo Secretario de Marina

El Presidente electo de México consultó la decisión con el presidente Enrique Peña Nieto
Con stand en la feria, DIF Tamaulipas promueve unión familiar

Durante el primer fin de semana en la Feria Tamaulipas 2018, se llevaron a cabo las actividades artísticas, culturales y recreativas del stand del Sistema DIF Tamaulipas
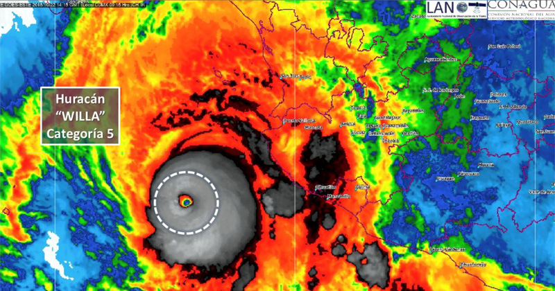
Willa se intensifica a huracán categoría 5

En conjunto con la tormenta tropical Vicente, Willa pone en alerta a Colima, Jalisco, Nayarit, Oaxaca y Guerrero.
24 mil tamaulipecos estudian en EU

El 50 por ciento de esos estudiantes son mujeres, y el 49 por ciento son varones.
Dejan morir a un ciclista

Regresaba a su casa en su bicicleta cuando es brutalmente embestido por un automóvil que se dio a la fuga
Se salvan de morir

Dos mujeres salieron con heridas leves al caer a un dren, en el vehículo que manejaba una de ellas en la carretera a Monterrey, a la altura de “El Atorón”.
Se impacta en barda y muere

Jornalero perdió la vida de manera instantánea, al chocar su camioneta en el fraccionamiento Vamos Tamaulipas