Celebrarán el primer festival del globo en Tula

Fue en la página “Tula, pueblo mágico” que anunciaron dicho evento, el cual iniciaría a las 6:30 de la mañana y se celebrará en la Unidad Deportiva de Tula.
Besos apasionados son la clave para bajar de peso sin sacrificios

Sexo vibrante, en el que ambos participen activamente, lo ideal, indicó un especialista.
ENTREGAN A ENRIQUE RIVAS LA MÁS ALTA DISTINCIÓN DE LA LOGIA DE TAMAULIPAS

El alcalde agradeció este reconocimiento y refrendó el compromiso que desde su gobierno ha estado haciendo de luchar por el bien común
No luchamos para construir dictadura: López Obrador

En su informe de actividades con motivo el primer aniversario de su triunfo electoral, resaltó que su loca pasión tiene un fundamento racional, aunque no lo piensen así sus adversarios
San Miguel de Allende también se llenó de granizo (FOTOS)

Luego de la fuerte granizada que cayó al norte del país, en el Pueblo Mágico de Guanajuato también hubo inundaciones y afectaciones.
Avalan senadores reforma para muerte digna de pacientes terminales

Los legisladores aclararon que la reforma no implica la aprobación de la eutanasia.
Alcalde de Madero critica las marchas «fifí»

Detalló que respeta ese tipo de expresiones, pero que no las comparte
Muerte de padre e hija salvadoreños “es culpa nuestra” : Bukele

Al menos 283 migrantes murieron en la frontera entre México y Estados Unidos en el 2018, sin embargo los activistas de derechos humanos han señalado que es probable que el número sea más alto
Autoridades advierten sobre un parásito en las albercas

EMITEN ALERTA EN EU SOBRE PELIGROSO PARÁSITO FECAL EN LAS PISCINAS
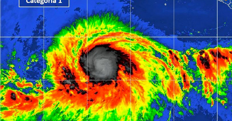
Tormenta ‘Bárbara’ se convierte en huracán categoría 1

El huracán podría alcanzar la categoría 3 o 4 el martes, cuando esté a 2 mil kilómetros de las costas mexicanas, por lo que no representa peligro en tierra