Recuperan cuerpo de menor haitiana del río Bravo

La pequeña Yan Yunel “N” desapareció cuando el grupo en que viajaba, compuesto de ocho haitianos, intentó ingresar a EU
Brasil doblega a Argentina y se clasifica a la final de la Copa América

La Canarinha, tras una gran noche de Gabriel Jesus, doblega al conjunto albiceleste que se secó pese a la enjundia de Lionel Messi
Hacen curso de verano en Victoria para que los hijos sepan ‘Ser el hombre de la casa’

En la imagen que anuncia el curso, se puede leer: ¿Cansado de que tu hijo varón se pase las vacaciones dormido y sin hacer nada?, inscríbelo al curso de verano “El Hombre de la Casa”.
RECIBE ENRIQUE RIVAS EL TÍTULO DE SOCIO HONORARIO DE ROTARIO NLD

Le entregan la distinción en el contexto de la toma de protesta de la directiva 2019-2020 que preside Martín Reyes Madrigal, por el apoyo a las causas del Club y su afinidad a los ideales de Rotary
Confirman para la toma de posesión al nuevo obispo de Tampico

Tras las primeras palabras del Obispo Alvarez Cano se realizará una caravana
Encabeza Chucho Nader Nuevo Martes Ciudadano en la Petrolera

«Estamos respondiendo con nuestro compromiso de estar cerca de la gente, de atender con oportunidad y calidad a todos los ciudadanos»
Se cuelga Trueba dos oros en Juegos Centroamericanos

El tampiqueño una vez más lució y logró una brillante participación en el evento internacional que se llevó a cabo en Barbados
Lame un bote de helado y lo devuelve al congelador de la tienda

La compañía que fabrica ese helado está trabajando con las autoridades para encontrar a la mujer.
Chris Hemsworth renueva contrato de Thor

El propio Chris mencionó que no volvería a dar vida a este personaje, sin embargo, las cosas habrían cambiado
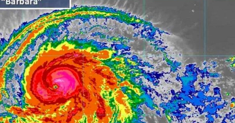
Huracán Bárbara es categoría 4 pero se aleja de México

Habrá fuertes lluvias en Sonora, Chihuahua, Estado de México, Hidalgo, Puebla y Oaxaca; chubascos en la CdMx, Tlaxcala, Veracruz y Chiapas.