Aumentan camiones recolectores de basura en Madero

Antes de la pandemia, en la Urbe Petrolera solo se generaban 230 toneladas al día de basura, pero desde que empezó el confinamiento ha ido en aumento.
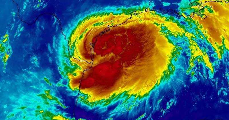
‘Hanna’ se convierte en huracán categoría uno

El Huracán registra vientos máximos sostenidos de 120 kilómetros por hora y rachas de 150.
Motociclista cae del Segundo Piso del Periférico y muere

Un motociclista cayó del Segundo Piso del Periférico y aunque fue trasladado de emergencia a un hospital, murió
El avión!… !El avión!

Cabrito News
El último cumple de la prima del Presidente AMLO

El Resbalón
Golpismo y democracia

El pasado 23 llegué a los 87 años de edad. Por los innumerables testimonios de amistad y reconocimiento que recibí infiero que algo bueno he hecho en la vida. El día anterior había concluido un complejo y exitoso proceso para elegir a 4 miembros del INE, que percibí como un invaluable obsequio. Mi memoria desenterró […]
Los Retos del PRI

EL PRI de frente a México
Viene lo peor…

Vida Diaria
Jair Bolsonaro da negativo a Covid-19

El miércoles, el presidente brasileño anunció que había dado positivo por tercera vez
‘Hanna’, primer huracán del Océano Atlántico

Se pronostican mareas de tormenta de hasta 1,5 metros para esa área, por lo que se recomienda a los habitantes que protejan su vida y propiedades