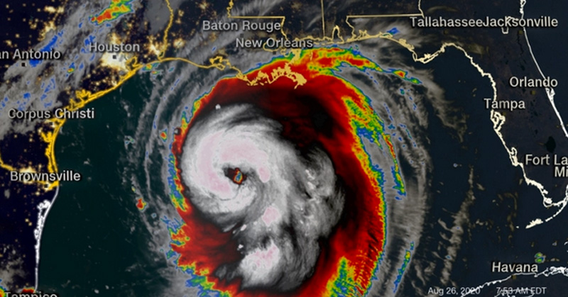
‘Laura’ sube a categoría 3; amenaza las costas de EEUU

Se espera que ‘Laura’ siga aumentando su fuerza hasta convertirse en un huracán de categoría 4 mientras se acerca este miércoles a las costas del suroeste de Louisiana y de parte de Texas
Se debaten las librerías entre ‘vida’ y ‘muerte’

Algunas librerías se han colgado de redes sociales para colocar sus artículos; pero otros han cerrado ó están por hacerlo, debido a las bajas ventas por lo que están rematando sus inventarios
Desmienten muerte de ‘La Jefa de las Barras’

El joven aseguró que su madre falleció y su padre continuaba hospitalizado reportado como «muy grave» presuntamente por COVID-19
AMLO Y TAMAULIPAS…

CONFESIONARIO / MELITÓN GARCÍA DE LA ROSA
‘ALITO’ RECIBIRÁ A MELHEM

EL KIOSKO / HÉCTOR GARCÉS
COBROS INDEBIDOS

ENTRE LÍNEAS / MIGUEL ÁNGEL AGUILAR RODRÍGUEZ
LA PANDILLA DE LOS BASAVE

EL PATINADERO / JUAN ANTONIO MONTOYA BÁEZ
DETRÁS DEL VIDEO DE PÍO

ESTRICTAMENTE PERSONAL / RAYMUNDO RIVA PALACIO
LOZOYA, EJE Y PARTE DE LA CORRUPCIÓN DE PEÑA

INDICADOR POLÍTICO /CARLOS RAMÍREZ
NADIE CREE NADA

EN BOCA DE TODOS / GUADALUPE ESCOBEDO CONDE