Vamos a tener tache si no mejoramos el sistema de salud: López Obrador

El presidente López Obrador aseveró que la meta de su Gobierno “es mejorar el sistema de salud pública” en México
Tren se impacta contra remolque en Altamira

El remolque quedó a disposición de las autoridades correspondientes para deslindar responsabilidades.
Cuba le dice ‘Sí’ al matrimonio igualitario

En reciente referendo, Cuba aprobó la legalización del matrimonio homosexual y la adopción, de acuerdo a la Comisión Electoral Nacional.
Captan a «Viene, viene» en una Hummer en Nuevo Laredo y se hace viral

Un par de imágenes fueron suficientes para que las redes sociales se dividieran, pues muchos no dan crédito a que un trabajador de éste tipo pueda tener un vehículo así
Mujer que mató a su esposo en defensa propia queda en libertad

El pasado 11 de septiembre, la mujer tomó un cable con el que sujetó a su esposo del cuello hasta que no respondió, en un domicilio de colonia Estanzuela, en Monterrey, Nuevo León
Omar Gómez Trejo renuncia como fiscal para el caso Ayotzinapa

Omar Gómez Trejo renunció como fiscal de la Unidad Especial de Investigación y Litigación del caso Ayotzinapa cuando se cumplen ocho años de los hechos
Ejercicio participativo sobre Fuerzas Armadas será el 22 de enero de 2023

El titular de la Segob, Adán Augusto López, informó que el 10 de octubre iniciará la difusión; si minuta que se discute en el Congreso no es aprobada, se presentará iniciativa con resultados de la consulta
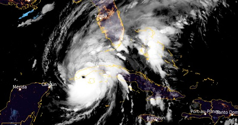
Huracán ‘Ian’ toca tierra en Cuba como categoría 3

El huracán de categoría 3 Ian tocó tierra en la madrugada de este martes en La Coloma, en la provincia occidental de Pinar del Río en Cuba.
Exigirán permiso de alcoholes para fiestas en palapas

Endurecen requisitos para fiestas en palapas
«Congelan» el precio de tortilla

Pretenden frenar el alza a las tortillas