Impulsa Tamaulipas transparencia con nuevo módulo de Contrataciones
MIGUEL DOMINGUEZ FLORES Tamaulipas contará con el módulo de Contrataciones Públicas S6, de la Plataforma Digital Nacional. La presentación de este proyecto estuvo a cargo de Roberto Moreno Herrera, secretario técnico de la Secretaría Ejecutiva del Sistema Nacional Anticorrupción, y se realizó ante la contralora gubernamental, Norma Angélica Pedraza Melo. El objetivo del módulo de […]
Empata UAT proyectos con visión de la Nueva Escuela Mexicana
MIGUEL DOMINGUEZ FLORES Con la finalidad de articular el plan de trabajo de la Universidad Autónoma de Tamaulipas (UAT) con la visión y experiencias de la Nueva Escuela Mexicana (NEM) implementada por el Gobierno de México, el rector Dámaso Leonardo Anaya Alvarado sostuvo una reunión con la Dra. Carmen Enedina Rodríguez Armenta, titular de la […]
Inaugura Chucho Nader Amplio y Moderno Estacionamiento en Acceso Sur de la Ciudad Deportiva

Acompañado del Secretario de Deportes en el municipio, Marcelo Cazaubón Rincón; así como de los titulares de Servicios Públicos y de Bienestar Social, Pepe Schekaibán y Ari Amor
Tiburón ataca a dos personas en la Isla del Padre

Las heridas ocasionadas fueron catalogadas como graves y están siendo atendidos en hospitales
NASA revela cuáles zonas de la Tierra serán inhabitables en 2050

Desde 2005, se han registrado valores superiores a 95 grados Fahrenheit durante breves períodos en lugares subtropicales como Pakistán y el Golfo Pérsico.
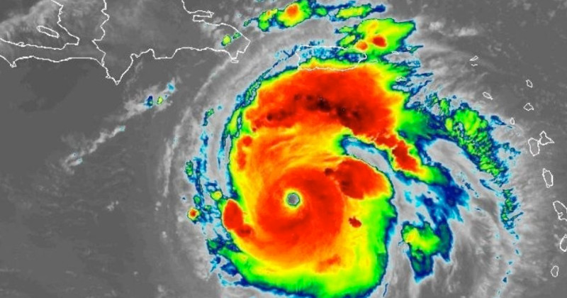
Huracán «Beryl» se aproxima a Tulum: SMN emite alerta máxima

En el Instituto Mexicano del Seguro Social (IMSS), se han suspendido operaciones y consultas no urgentes
Por huracán «BERYL», se activan depedencias de los tres niveles de gobierno

200 familias de la zona podrían verse afectadas por intensas precipitaciones pluviales.
Interesa a inversionistas chinos instalar planta química en Altamira

La visita de los representantes asiáticos responde a un profundo interés por las oportunidades que ofrece Altamira
Liberan crías de tortugas en costas del sur de Tamaulipas

La actividad fue desarrollada por la Comisión Natural de Áreas Protegidas (CONANP).
Incinera FGR drogas incautadas tras operativos en Tamaulipas

La droga fue destruida en las instalaciones de la Octava Zona Militar, con sede en Reynosa.