Adrián Marcelo se vuelve a lanzar contra Gala

El creador de contenido compartió un mensaje en X dirigido a la actriz de telenovelas, con quien se enfrascó en distintas discusiones en «La Casa de los Famosos México»
Estos son los elementos en un altar a San Judas Tadeo

No importa si ya tienes uno en tu hogar y lo quieres arreglar, o si por el contrario a penas quieres montarle una ofrenda, pues hay algunos elementos que sí o sí tienes que agregar a su altar
Alicia Villarreal hace oficial su divorcio con Cruz Martínez

La cantante habló sobre el difícil proceso que enfrenta en su vida personal ante la separación con el productor musical tras 20 años de matrimonio
Cierran primaria por brote de varicela

José Alanís Mendo titular de Centro Regional de Desarrollo Educativo (CREDE) informó que se monitorea el turno vespertino para vigilar que no se presentan casos.
Cantidad de dinero que puedes recibir en tu tarjeta de débito sin pagar impuestos al SAT

Existen ciertos casos en los que el SAT puede aplicar impuestos a los movimientos en tu tarjeta de débito
Muere hombre en la Laguna del Carpintero paro cardíaco

Hombre que aparentemente realizaba ejercicio, falleció de posible ataque al corazón en el parque de la Laguna del Carpintero
Fiscal recomienda nueva sentencia para los hermanos Menéndez

El fiscal analiza enviar a un juez la recomendación para reevaluar el caso por el que cumplen una cadena perpetua
Adrián Marcelo habría sobornado a un policía; él lo acepta

El creador de contenido Adrián Marcelo se encuentra en medio de una controversia tras la filtración de un video donde aparentemente soborna a un policía.
Estos son los requisitos para la Beca Rita Cetina

Estos son los requisitos para poder registrarse a la Beca Rita Cetina, que no se te pasen las fechas.
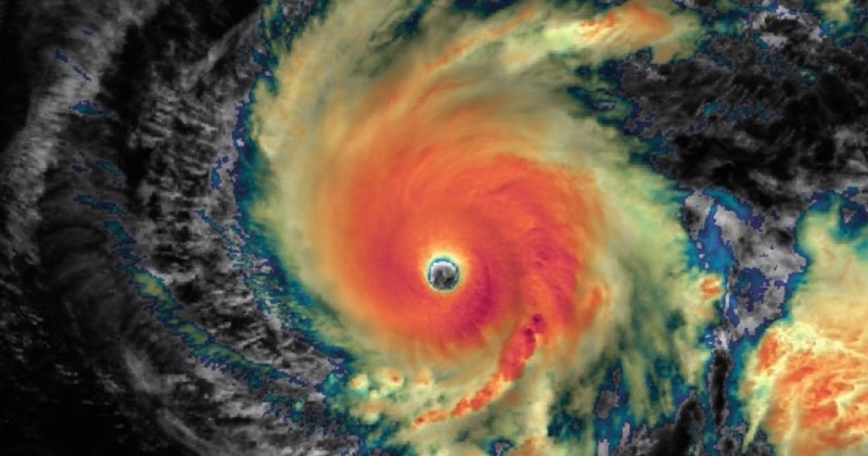
Huracán ‘Kristy’ se intensifica a categoría 5

El huracán de categoría 5 se localiza a alrededor de 1,565 kilómetros al suroeste de Cabo San Lucas en el estado de Baja California Sur