Tormenta solar podría afectar la tierra este jueves o viernes

Actividad reciente en el Sol podría provocar la manifestación de auroras, pero hay poco motivo de alarma
Gmail se cae a nivel mundial

De acuerdo con los usuarios, el problema surge al momento de querer enviar un mail con archivos adjuntos.
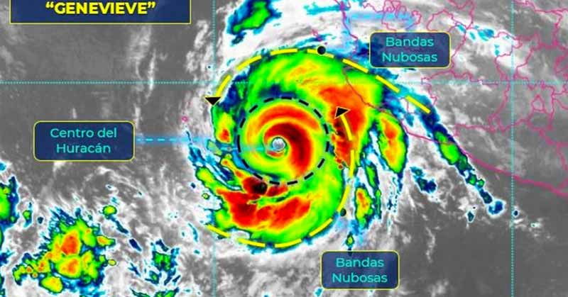
‘Genevieve’ deja saldo blanco en Colima y Jalisco

De acuerdo a los pronósticos, se podrían generar lluvias durante las próximas horas, pero ahora por el paso de la Onda Tropical 29.
La respuesta de Chucho

EL KIOSKO
Mal pagan ellos

En Boca de Todos
Tráiler a las 7 de la tarde

Crónicas de la calle
México, clave en elección de EU

INDICADOR POLÍTICO
Millones para la campaña de Peña

ESTRICTAMENTE PERSONAL
Bofetadas de partido

El Resbalón
Por creídos, viene duro golpe por Covid

Tarjetero Político