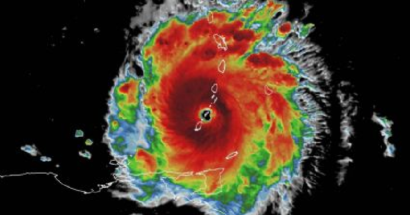
‘Milton’ se convierte en huracán y evolucionará a categoría 3

Se pronostica que el huracán en categoría 3 toque tierra en Estados Unidos
Presenta Américo avances tras dos años de gobierno

El gobernador Américo Villarreal Anaya destacó que el manejo responsable de las finanzas públicas en Tamaulipas ha permitido aumentar la recaudación
Youtuber destroza un superdeportivo McLaren durante una transmisión en vivo

El video de la transmisión muestra a Doherty con el teléfono en una mano mientras conduce por la carretera, ignorando por completo las advertencias del mal tiempo.
Protección Civil Tamaulipas revisará edificios antiguos

Algunos viejos edificios han colapsado por la humedad, tal es el caso de lo acontecido este fin de semana en Tampico.
Inicia cultivo de girasoles en el “Rancho Betty”

El campo de Girasoles “Rancho Betty” tiene como fin producir este cultivo para la venta de su semilla que es utilizada para la producción de aceite comestible
Detienen a mujer por alterar el orden

La mujer se abalanzó contra un periodista que realizaba cobertura sobre el levantamiento de los escombros, amenazando con denunciarlo por presuntamente grabarla
Hace 200 años nació Tampico

El 7 de abril de 1823, Santa Anna creyó conveniente conceder interinamente la formación de un pueblo en el paraje nombrado ‘Tampico el Viejo’, con pobladores originarios de Altamira
Helena Renne, Espejo de su Espejo

El artista plástico como el escritor se enfrenta al espejo, quizás más que el poeta, que navega en las imágenes con mayor libertad. El artista es un reflejo de su espejo rodeado de imágenes, atrapado en los sueños, redondeando una realidad.
Una vida simple

Pello recorre calles y solares baldíos en busca de algo que pueda intercambiar por la comida del día
La hermosa Polilla ío

El biólogo Marco Zozaya nos presenta la fascinante ‘Polilla ío’, una especie de la familia Saturniidae encontrada en Jaumave, Tamaulipas.