FGR logra seis sentencias condenatorias en Tamaulipas

Los resultados de la dependencia federal de seguridad y justicia durante el mes de septiembre, indican que además obtuvo la vinculación a proceso de 23 imputados
Carlos Canturosas vota a favor de fortalecer el servicio de tren de pasajeros

La nueva ley establece que las empresas con concesiones de transporte de carga podrán solicitar autorizaciones para ofrecer también el servicio de pasajeros
Pelea de pareja en Altamira termina en tragedia; él muere

Los hechos se registraron en la calle Emiliano Zapata, número 536 del fraccionamiento Villas del Sol, ubicado en la zona norte de la ciudad.
‘Que le regresen su programa’: Sheinbaum reacciona a despido en vivo de conductor en Canal 66

Tras el despido de Gustavo Macalpin en plena transmisión en vivo, la presidenta Claudia Sheinbaum consideró injusto este acto y pidió que le devuelvan su programa.
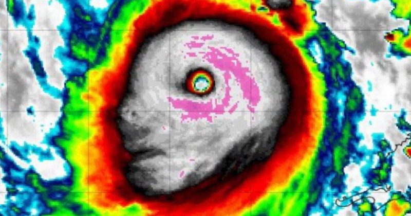
Supuesto «rostro» en imagen de satélite del Huracán Milton causa temor en redes

Los internautas descubrieron una forma extraña en la imagen de satélite del fenómeno meteorológico.
Costaría 200 MDP proyecto de plantas tratadoras

El presidente de AISTAC, Adonay Navarro Saad dijo que de momento se realiza un proyecto del estudio de todo el sistema lagunario que alimenta la zona sur.
Fortalece la UAT y SST mejoramiento de enseñanza médica

Estrechan colaboración y seguimiento a las acciones que contribuyan al mejoramiento de la formación profesional en el campo de la salud.
Transporte arrastra rezago de 20 años

Se realizó un análisis para iniciar la reestructuración de rutas en las ciudades del norte y sur del estado.
Aumentan accidentes por el uso del celular

La Dirección de Tránsito de Victoria advirtió que esa es la causa principal de incidentes viales.
Sancionan a constructoras por retrasos

El Gobierno de Tamaulipas ha multado a cinco empresas por incumplir con obras en algunos proyectos menores, pero los trabajos pudieron continuar.