Avión de pasajeros se estrella mientras despegaba y cae sobre un auto, hay 5 muertos; ocurrió en Arizona

Tras el percance se presentó un fuerte incendio, mismo que levantó una enorme columna de humo; autoridades investigan las causas del accidente
Exhiben a extranjero que prohíbe a pescador de Yucatán usar «su mar»

El extranjero argumenta que la playa y el mar que están frente a domicilio son de su propiedad, por lo que intenta expulsar al pescador mexicano de la zona.
Susana Zabaleta confirma que Ricardo Pérez le dio un anillo

La actriz Susana Zabaleta generó revuelo en redes sociales tras lucir un anillo que desató rumores de compromiso con Ricardo Pérez. Ahora la famosa responde si se casará con él.
Capacitan en derechos humanos a agentes de tránsito

El capitán Zenon Cruz, director de la corporación, informó que es parte del compromiso de que los uniformados actúen con un sentido humanista y apegados en todo momento al respeto de los conductores.
Inauguran Foros Ciudadanos en Altamira para el Plan Municipal de Desarrollo

El primer foro abordó temas de desarrollo económico para el municipio
Inflación en México llega a 4.76% en octubre 2024

La inflación en octubre se vio impulsada por el incremento en precios de productos como el limón, naranja y los plátanos.
Claudia Sheinbaum y Trump tuvieron su primera conversación vía telefónica

La presidenta Claudia Sheinbaum y el próximo presidente de EE.UU., Donald Trump, tuvieron su primera conversación por teléfono
Se consolida programa de Cultura del Agua de COMAPA Sur

El Gobierno del Estado de Tamaulipas, a través de la Secretaría de Recursos Hidráulicos para el Desarrollo Social, ha destacado la importancia de adoptar una nueva cultura del cuidado del agua, en la que la unidad es un factor determinante para enfrentar retos y adversidades.
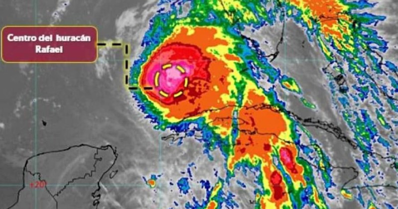
Huracán ‘Rafael’ cambia trayectoria hacia México

CIUDAD DE MÉXICO.- El huracán Rafael impactó ayer a Cuba como categoría 3 y actualmente se mantiene en el nivel 2, pero hizo un cambio de dirección hacia México, alertó la Comisión Nacional del Agua (Conagua); ésta es su trayectoria EN VIVO hoy 7 de noviembre de 2024. Rafael se ubica actualmente a 290 kilómetros […]
Walmart y Sams “le comen el mandado” al Buen Fin

A esta iniciativa se suma Sam’s Club con sus “Horas Extraordinarias”, una preventa que permite a los clientes aprovechar las ofertas antes del inicio oficial del Buen Fin