
Te decimos si te pueden negar la visa si estás en Buró de Crédito
Estar en Buró de Crédito no implica automáticamente que te nieguen la visa americana, pero puede influir en la decisión del consulado.

Estar en Buró de Crédito no implica automáticamente que te nieguen la visa americana, pero puede influir en la decisión del consulado.

Los huracanes en Florida han generado situaciones inusuales, como la llegada de un cocodrilo a la sala de una casa

Al menos 10 tornados se han reportado en el centro-sur del Estado, de acuerdo con NBC News; se esperan más reportes durante la tarde antes de que el ciclón toque tierra.

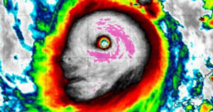
Los internautas descubrieron una forma extraña en la imagen de satélite del fenómeno meteorológico.

El mandatario emanado de la denominada «Revolución Bolivariana» encabezada por el fallecido Hugo Chávez, aseguró que a la oposición le molesta que los venezolanos sean felices

Debido a un problema técnico, los pasajeros de un vuelo de la aerolínea Qantas la semana pasada no podían seleccionar individualmente la película que querían.

Las imágenes virales muestran al hombre cambiando el canal con caricaturas para que los menores puedan disfrutar un poco más del momento; la decisión ha cautivado en redes

La criatura fue filmada en el sendero de un área protegida; hasta ahora, ningún especialista ha revelado que tipo de animal sería el que aparece en el video